Furacão Melissa: Jamaica enfrenta a tempestade mais devastadora de sua história meteorológica

Alerta máximo com a chegada do furacão Melissa, categoria 5


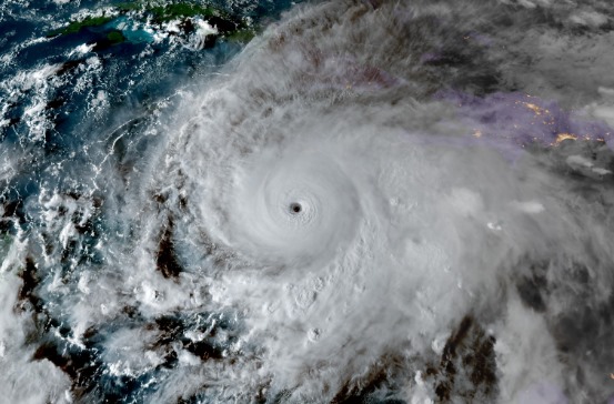
A Jamaica se prepara para enfrentar o furacão Melissa, de categoria 5, o nível máximo na escala Saffir-Simpson. A tempestade deve atingir o país nesta terça-feira (28) e já é considerada a mais poderosa a ameaçar a ilha em 174 anos, um evento sem precedentes na história meteorológica da região.

Antes mesmo de tocar o solo, Melissa já provocou três mortes e danos significativos devido às fortes chuvas e ventos que antecedem o núcleo do furacão. Segundo o Centro Nacional de Furacões dos EUA (NHC), o sistema alcançou ventos sustentados de 280 km/h e pode gerar marés de até quatro metros, inundações repentinas e destruição generalizada de infraestrutura.

O centro do furacão estava, às 6h (horário de Brasília), a 180 km de Kingston, deslocando-se lentamente a 8 km/h, o que aumenta o tempo de exposição da ilha aos ventos extremos.

O governo jamaicano decretou estado de emergência e evacuação obrigatória em áreas de risco. "Não há infraestrutura no país capaz de resistir a um furacão de categoria 5", alertou o primeiro-ministro Andrew Holness.

A Cuba também está em alerta máximo, com retiradas preventivas em comunidades costeiras.

Melissa se junta à lista dos furacões mais intensos da história do Caribe ? como Gilbert (1988), Ivan (2004) e Dorian (2019), e reacende o debate sobre o aquecimento das águas oceânicas e o aumento da intensidade desses fenômenos.

Imagem multiespectral registrada pelo satélite GOES 16Imagem multiespectral registrada pelo satélite GOES 16 (Foto : Web)

Organizações internacionais como a Cruz Vermelha, o Programa Mundial de Alimentos e a ONU já mobilizam equipes e suprimentos para apoio emergencial.